| 
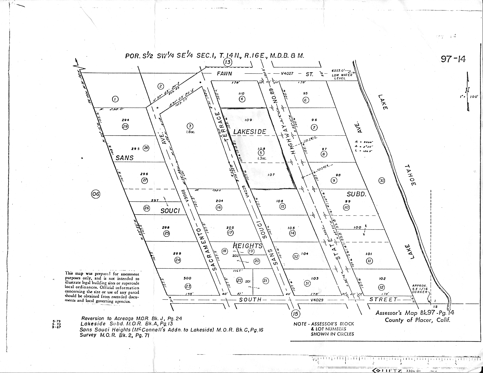
Lot 106 (parcel 15) of "Lakeside on Lake Tahoe" in Book 97 of Maps page 14
Assessment Parcel Number (APN) is: 097-140-015-000
longitude latitude
Lot 5 Section 1 Township 14 North, Range 16 East Mount Diablo Principal Meridian California
Lat, Long: 39.08385, -120.15963
Section Township Range
 Size: 
   Lot 178' x 108' at property line Plot Plan
   178 long x 99 wide - 17,652 SF ft. .405 acre (not including ROW)
   coverage incl. deck, drive, walk 3,334 sq. ft.
House: Floor Plan
   Main:   1720 sq. ft.
   Loft:   150 sq. ft. ( 8 x 19)
   Guest:   143 sq. ft.
   Total:  2,013 SF
   
   Assessor Map |