Don
Places
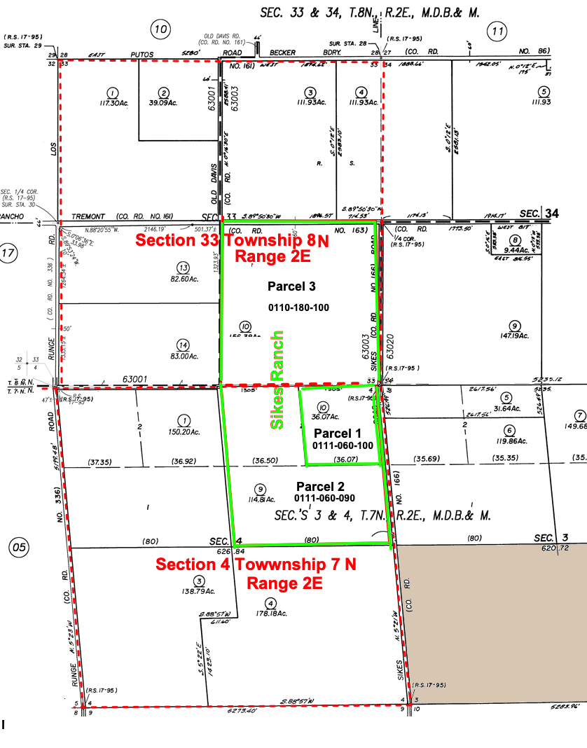
Sikes Ranch
Legal Description
|

Parcel 1 is where the old house and barns were located.
Description on some deeds is wrong:
We will combine Parcel 1 and 2.
Anyway Tax parcels are not necessary in a legal description.
So the following legal description is good:
Source: Solano County - Assessor Maps
Note: Do not put "-"s in the Assessment Number
According to Chris Rodgers in the accessors office the parcial numbers are not required in a legal desctiption. The following description is sufficient.
The Northeast quarter of Section 4, Township 7 North, Range 2 East, Mount Diablo base and meridian.
The Southeast quarter of Section 33 Township 8 N., Range 2 E, Range 2 E,
Mount Diablo Base and Meridian, according to official plat thereof.